ARTA - 1997
Antiquité - Archaïque - Classique - Hellénistique - Romaine
Arta
Rempart antique. Un segment du rempart, long de 15 m, a été dégagé dans un terrain proche de la citadelle antique (rues Mostraion et Aghias Paraskévis, terrain du Foyer des TEI). Le rempart, de construction particulièrement soignée et de dimensions impressionnantes (haut. 4,60 m ; ép. 3,80 m), était en blocs de calcaire et non en briques crues, comme à d'autres endroits. À l'intérieur du rempart on a mis au jour le croisement de deux rues et des vestiges de constructions ; à l'extérieur, la fondation d'un péribole plus ancien et un espace dallé présentant deux phases de construction, toutes deux d'époque hellénistique. Cet espace, qui a produit sept figurines de taureau en bronze (fig. 1) ainsi que de nombreux fragments d'autres figurines, était peut-être un sanctuaire extra-muros dédié à Poséidon ou à Arachthos, divinité locale d'Ambracie. Dans les niveaux supérieurs, tant à l'intérieur qu'à l'extérieur du rempart, la fouille a mis au jour des restes de constructions d'époques byzantine et ottomane. Plusieurs autres segments du rempart ont été repérés en divers points de la ville moderne : rues Hérakleitou (terrain Lambrou), Mélanéos, Hérakleitou, Arachtou.
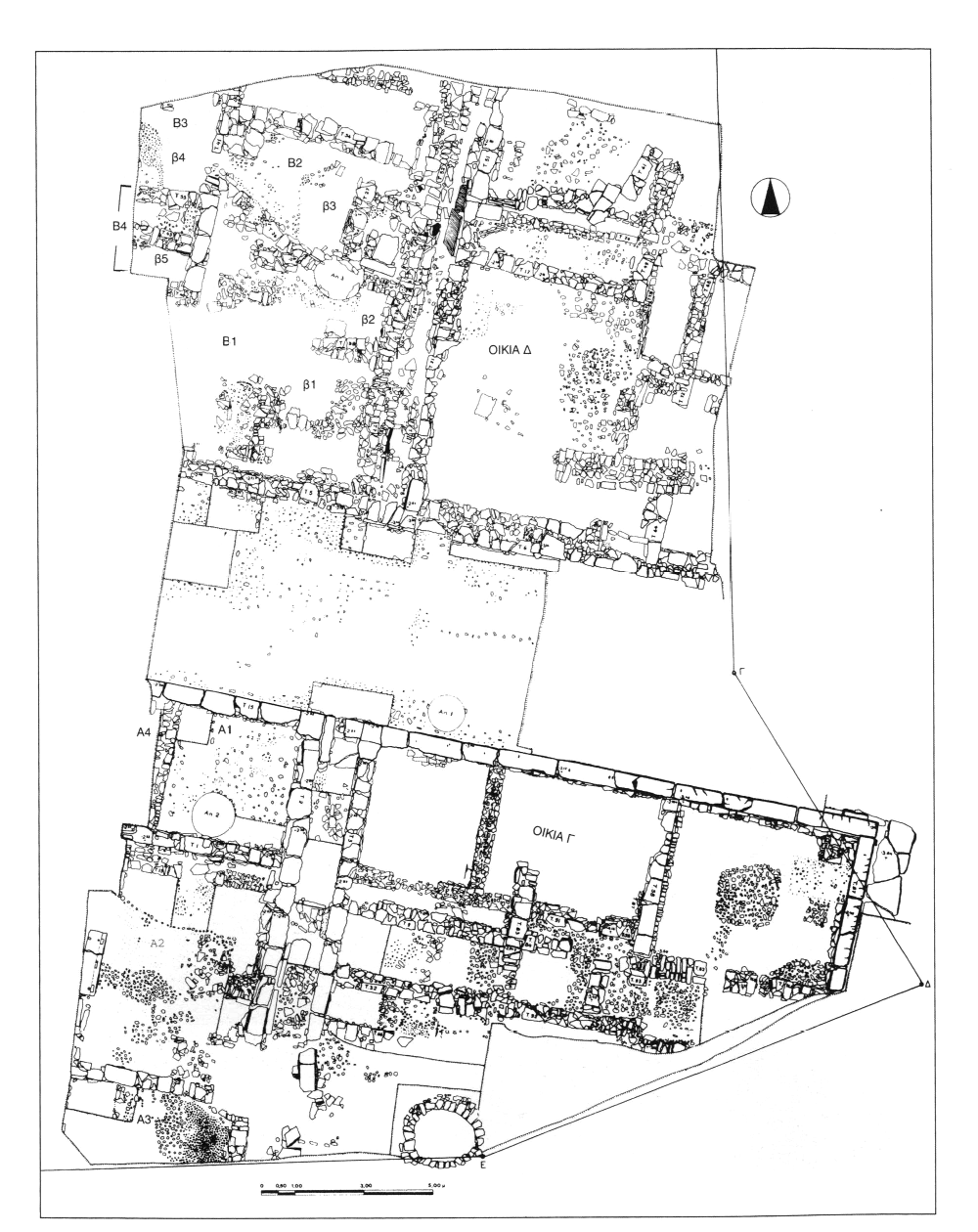
Ville antique (habitations, voirie). Au moins treize maisons d'époque classique et hellénistique ont été partiellement explorées dans plusieurs terrains de la ville moderne. On signalera :
– deux maisons situées de part et d'autre d'une large rue (4,80 m) à trottoir dallé, dont on a reconnu deux états de construction (fin IVe-début IIIe s. et début IIe s. av. J.-C.) ; une fosse renfermant un grand nombre de vases miniatures mêlés à des ossements d'animaux doit constituer un dépôt de fondation, comme on rencontre fréquemment dans les fondations des maisons d'Ambracie. Les couches inférieures ont livré, comme c'est souvent le cas, du matériel géométrique, archaïque et du début de l'époque classique (parodos de la rue Manoliassis) ;
– deux autres maisons, séparées par un conduit dallé, qui ont livré une riche collection de céramique s' échelonnant entre l'époque archaïque et l'époque post-byzantine, de nombreuses figurines en terre cuite classiques et hellénistiques (fig. 2) ainsi que des plaquettes en terre cuite avec scènes de banquet en relief (rue Stamatélopoulou) ;
– quatre maisons appartenant à deux insulae séparées par une avenue (larg. 6 m) qui aboutissait sans doute au rempart (rue Mélanéos, terrain Thanou) ; les maisons sont séparées par un conduit dallé débouchant sur l'avenue (fig. 3). La continuité d'occupation de cet espace est attestée par une tuile portant une inscription en alphabet corinthien (ΠΙΛΟΣ M ΕΠΕΙΕΙ) ;
– les restes de trois rues, de canalisations et de maisons, découverts à l'occasion de travaux de voirie dans la rue Kyprou. On signale la présence de céramique s' échelonnant entre le VIIe et le IIe s. av. J.-C. (notamment des importations corinthiennes) et celle d'une tuile faîtière à anthémion de type corinthien datant du IVe s. av. J.-C. (fig. 4) ;
– un dépôt de céramique de types très variés (VIe-IIIe s. av. J.-C.) et de figurines fragmentaires, sans doute lié à un atelier (parodos Kotélidaion, terrain Vlachou).
Théâtre antique. Un mur en grand appareil de caractère monumental a été partiellement dégagé à l'occasion de travaux de voirie (rue Tsakalof). Il est sans doute lié à la parodos du théâtre antique. Des vestiges d'autres constructions monumentales ont déjà été repérées dans la même zone. Parmi les trouvailles, une stèle votive inscrite ΚΟΤΕΝΟΣ ΑΝΕΘΕΚΕ.
Nécropoles. On a poursuivi la fouille de la nécropole à périboles Sud-Ouest, rue Komménou (v. BCH 125 [2001] Chron., p. 884-885), mettant au jour vingt-quatre nouvelles tombes et deux thékai d'époques classique et hellénistique, ce qui porte à 139 le nombre total des tombes explorées et à 36 celui des thékai. Découverte jusqu'à présent unique dans cette nécropole, une ciste à couvercle en calcaire renfermait un sarcophage en poros, lui aussi pourvu d'un couvercle ; la tombe contenait une sépulture masculine d'époque classique, dotée de nombreux objets métalliques (un poignard et deux pointes de lance en fer, 83 pointes de flèche en bronze, trois strigiles en fer et une pyxide en bronze). Parmi le mobilier funéraire recueilli dans le reste des tombes, et constitué pour l'essentiel de vases en terre cuite et des monnaies funéraires en or, se distingue une cruche en bronze décorée d'un satyre en relief sur la naissance de l'anse (fig. 5).
L'ouvrage de Ν. K. Moutsopoulos, Οι Βυζαντινές εκκλησίες της Άρτας, est paru en 2002.
Légende graphique :
localisation de la fouille/de l'opération
localisation du toponyme
polygone du toponyme Chronique
Fonctionnalités de la carte :
sélectionner un autre fond de plan
se rapprocher ou s'éloigner de la zone
afficher la carte en plein écran




