ATHENS - Kynosarges - 2001
Informations Générales
Numéro de la notice
2136
Année de l'opération
2001
Chronologie
Mots-clés
Nature de l'opération
Institution(s)
Localisation
Notices et opérations liées
Description
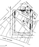
Diamantopoulou 1, the Hadrianic Gymnasium. Th. Iliopoulos (Γ’ ΕΠΚΑ) reports on excavation in this 12 x 12m plot following demolition works which revealed substantial foundations of a further section of the large Roman building (restored dimensions 80 x 60m) investigated by the British School at Athens in 1886-7, and in 1970 by Travlos, and thought to be the Hadrianic Gymnasium of Kynosarges. The present plot is located at the middle of the west side of the orthogonal Roman building (Figs 1,2).
In centre of the plot was a north-south wall (12m long, 2.1m wide) which is probably the peribolos of the Gymnasium. Perpendicular to it was a rectangular area (external dimensions 9 x 4m) which is probably an internal hall. The wall courses are very strong, made from many marble fragments and cut stone together with ceramic, stones from the nearby Ilissos River and strong mortar. The northeast corner of the internal hall includes marble blocks (0.8 x 0.6 x 0.25m) in secondary use.
Auteur de la notice
Robert PITT
Références bibliographiques
AD 56-59 (2001-2004) Chr., 206-208.
Légende graphique :
localisation de la fouille/de l'opération
localisation du toponyme
polygone du toponyme Chronique
Fonctionnalités de la carte :
sélectionner un autre fond de plan
se rapprocher ou s'éloigner de la zone
afficher la carte en plein écran
Date de création
2011-06-21 00:00:00
Dernière modification
2023-10-09 11:07:01




