MARIOLATA - 2006
Informations Générales
Numéro de la notice
5497
Année de l'opération
2006
Chronologie
Mots-clés
Nature de l'opération
Institution(s)
Localisation
Toponyme
Mariolata
Mariolata
Notices et opérations liées
2006
Description
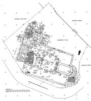
Dans la commune de Mariolata, Th. Maïlis (24e éphorie des antiquités byzantines) a mené en 2006 une fouille sur la basilique protobyzantine de Mariolata, qui avait été découverte par Lazaridis dans les années 60 (fig. 1).
Cinq tombes à fosse ont été dégagées sous le narthex et les bas-côtés de l’église. Dans trois des tombes on a trouvé des vases-pithoi façonnés à la main, un poignard en fer, trois bagues en fer dont l’une est ornée d’un aigle et un collier.
L’annexe Nord du narthex a été exploré (dim. 4,30 x 4,65 m). Sa façade Nord présentait une entrée à deux arcs : cette pièce fonctionnait comme prostoon et entrée principale de l’église, ajoutée peu après la construction de l’église.
Cinq tombes à fosse ont été dégagées sous le narthex et les bas-côtés de l’église. Dans trois des tombes on a trouvé des vases-pithoi façonnés à la main, un poignard en fer, trois bagues en fer dont l’une est ornée d’un aigle et un collier.
L’annexe Nord du narthex a été exploré (dim. 4,30 x 4,65 m). Sa façade Nord présentait une entrée à deux arcs : cette pièce fonctionnait comme prostoon et entrée principale de l’église, ajoutée peu après la construction de l’église.
Auteur de la notice
Catherine Bouras
Références bibliographiques
AD 61 (2006), B1, p. 570-572.
Légende graphique :
localisation de la fouille/de l'opération
localisation du toponyme
polygone du toponyme Chronique
Fonctionnalités de la carte :
sélectionner un autre fond de plan
se rapprocher ou s'éloigner de la zone
afficher la carte en plein écran
Date de création
2016-07-22 00:00:00
Dernière modification
2023-10-31 13:19:06




