TELENDOS - 2001
Informations Générales
Numéro de la notice
3743
Année de l'opération
2001
Chronologie
Mots-clés
Lampe - Monnaie - Outillage/armement - Métal - Verre - Habitat - Mobilier et aménagement du bâti - Matériaux - Espaces
Nature de l'opération
Institution(s)
Localisation
Toponyme
Telendos
Telendos
Notices et opérations liées
Description
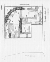
Au Nord de Kalymnos, sur l’île de Telendos, M. Koutellas (4e éphorie des antiquités byzantines) a mené en 2001 une fouille de sauvetage sur le terrain Louloudia et mis au jour des vestiges de construction appartenant à un habitat protobyzantin (fig. 1-2).
L’étude de la stratigraphie a permis d’identifier trois phases de construction et d’occupation sur ce terrain. Lors de la première phase d’occupation, avant le séisme du milieu du VIe s. apr. J.-C., furent construits les bâtiments K1-1, K2-1, K3, K5 et un mur à l’Ouest de K1-1, appartenant à un bâtiment qui se poursuit sous le terrain voisin (fig.). Les sols étaient en terre compacte, sauf dans la pièce K1-1, dallée de pierres. Après le séisme, de nouveaux bâtiments furent construits (K4), d’autres réparés et renforcés (K2-2), tandis que d’autres furent abandonnés (K2-1, K3-2 et K5). L’habitat fut abandonné au milieu du VIIe s. apr. J.-C. Cette dernière phase d’occupation est attestée par une couche de remblai qui recouvrait les vestiges des phases précédentes. Puis, probablement à l’époque médiobyzantine, le site fut réoccupé : le mur courbe T5 au Nord-Ouest du terrain et un mur d’orientation Nord-Sud (T11) furent alors construits. Une nouvelle pièce au sol dallé (K1-2) fut construite au Sud de K1-1.
Le mobilier recueilli comporte de la céramique, des monnaies de bronze, des aiguilles, des épingles et des hameçons en bronze, des lampes, des pesons, des meules et des fragments de verre. Dans les niveaux inférieurs, on a trouvé des indices sur l’occupation du site aux époques hellénistique et romaine.
Auteur de la notice
Catherine Bouras
Références bibliographiques
AD 56-59 (2001-2004), B6, p. 403-405.
Légende graphique :
localisation de la fouille/de l'opération
localisation du toponyme
polygone du toponyme Chronique
Fonctionnalités de la carte :
sélectionner un autre fond de plan
se rapprocher ou s'éloigner de la zone
afficher la carte en plein écran
Date de création
2013-10-04 00:00:00
Dernière modification
2023-10-16 07:21:23




