THÈBES. – Rempart - 2000
Informations Générales
Numéro de la notice
947
Année de l'opération
2000
Chronologie
Mots-clés
Nature de l'opération
Institution(s)
Localisation
Notices et opérations liées
2000
Description
Plusieurs tronçons du rempart, appartenant à des phases différentes, ont été découverts à Thèbes en 2000 :
- un sondage a été effectué dans le prolongement du segment visible du rempart de la ville basse de Thèbes, rue Zoodochou Pigis. Le tronçon découvert, construit en blocs de taille, dessine un redan et correspond à une partie d’un bastion rectangulaire (fig. 1). Le parement interne n’est pas conservé.
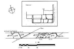
- un sondage, dans la rue Oidipodos, effectué dans le cadre des travaux de canalisation, a mis au jour deux murs construits en blocs de poros taillés, briques et mortier, conservés jusqu’à trois assises. Il s’agit sans doute d’une partie du rempart romain tardif, comme l’indique une monnaie de cette époque (fig. 2).
- un second sondage dans la partie orientale de la rue Oidipodos (Cadmée orientale) a dégagé sur une longueur de 17 m une partie connue du rempart médiéval. Sa construction, en gros blocs de remploi, date du XIIIe s. d’après la céramique recueillie (fig. 3-4).
- rue Therpsiadou, au Nord-Ouest de la Cadmée, un sondage a mis au jour un autre tronçon de 11 m du rempart médiéval, construit en blocs non taillés, en blocs de poros taillés, avec des inclusions de brique et un solide mortier (fig. 5).
Auteur de la notice
Catherine Bouras . - Dir. scientifique : D. MULLIEZ, C. AUBERT
Références bibliographiques
Koilakou, Ch., ΑD 55 (2000) [2009], p. 154-155.
Légende graphique :
localisation de la fouille/de l'opération
localisation du toponyme
polygone du toponyme Chronique
Fonctionnalités de la carte :
sélectionner un autre fond de plan
se rapprocher ou s'éloigner de la zone
afficher la carte en plein écran
Date de création
2010-08-27 00:00:00
Dernière modification
2023-10-04 11:19:02
Figure(s)




