TROIZEN - 2006
Informations Générales
Numéro de la notice
5141
Année de l'opération
2006
Chronologie
Mots-clés
Nature de l'opération
Institution(s)
Localisation
Toponyme
Troizen, Troizin, Damalas
Troizen, Troizin, Damalas
Notices et opérations liées
2006
Description
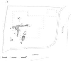
Troizen (property of H. Paneri). M. Giannopoulou (KΣΤ’ ΕΠΚΑ) reports the discovery of a late antique (fifth- to sixth-century AD) building oriented north-south. Surviving remains comprise a 7m-long stretch of one long wall plus a shorter 1.2m stretch parallel to it the south, and a cross-wall which divided the building into two rooms. Finds include fifth- and sixth-century pottery and a lead seal with the name ΕΠΙΦΑΝΙΟΣ.
Auteur de la notice
Catherine MORGAN
Références bibliographiques
ADelt 61 (2006) Chr., 235-36
Légende graphique :
localisation de la fouille/de l'opération
localisation du toponyme
polygone du toponyme Chronique
Fonctionnalités de la carte :
sélectionner un autre fond de plan
se rapprocher ou s'éloigner de la zone
afficher la carte en plein écran
Date de création
2015-10-01 00:00:00
Dernière modification
2024-02-19 09:38:45




