MESOPOTAMOS - 2003
Informations Générales
Numéro de la notice
3161
Année de l'opération
2003
Chronologie
Mots-clés
Nature de l'opération
Institution(s)
Localisation
Toponyme
Mesopotamos, Mesopotamon, Likoursi
Mesopotamos, Mesopotamon, Likoursi
Notices et opérations liées
19812003
Description
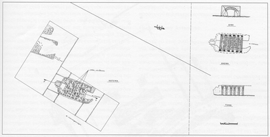
Mesopotomos, Phanari (Dimitriou property). T. Kondogianni (ΙΒ' ΕΠΚΑ) reports the discovery of two potter’s kilns, just northeast of the hill of the Nekromanteion, of which one (a rectangular structure) was excavated. The firing chamber was preserved, with the eschara supported on six brick-built arches, the stomion and stoking tunnel. The lower chamber wall was of clay, with brick plastered in clay on the interior. Tile sherds and masses of clay were collected from the surrounding area. Three second- to third-century AD sherds were found, but not in context so as to date the kiln (which is of a type attested in this area into the 16th century AD).
Auteur de la notice
Catherine MORGAN
Références bibliographiques
ADelt 56-59 (2001-2004) B5, 91-92.
Légende graphique :
localisation de la fouille/de l'opération
localisation du toponyme
polygone du toponyme Chronique
Fonctionnalités de la carte :
sélectionner un autre fond de plan
se rapprocher ou s'éloigner de la zone
afficher la carte en plein écran
Date de création
2013-06-10 00:00:00
Dernière modification
2023-10-11 13:56:11




