PIRAEUS-Zaimi Street - 2005
Informations Générales
Numéro de la notice
4981
Année de l'opération
2005
Chronologie
Mots-clés
Canalisation - Citerne - Figurine - Monnaie - Espace commercial - Habitat - Production/extraction - Voierie - Mobilier et aménagement du bâti - Espaces
Nature de l'opération
Institution(s)
Localisation
Notices et opérations liées
20052005 (1)
Description
Sophia Michalopoulou (ΚΣΤ’ ΕΠΚΑ) reports on two sites on Zaimi Street. A classical house was excavated on Zaimi 17 (property of Parasamli). The house appears to have also been in use in the Hellenistic period. One of the two rooms excavated preserved a pebble-floor. A drain ran along the floor of the other room.
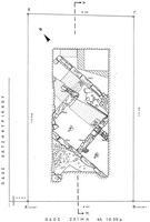
South of this house on Zaimi and Flessa (property of OSK) further, extensive remains of houses were found. Sophia Michalopoulou (ΚΣΤ’ ΕΠΚΑ) reports on the excavation of four blocks of houses and two roads separating these.
Block A: Its walls are dated in the 4th c. B.C. and additional finds indicate that it was used until the Hellenistic period. The block includes a house with three rooms that constitutes the continuation of the domestic complex reported in AD (1975) Chr. 33.
Block B: It is dated in the Classical period. Part of a room was excavated that contained five bronze and six silver coins. The date range of the silver coins is 390-262 B.C. A drain ran along the floor of the room and led to a cistern.
Block C: A pebble-floor was revealed.
Block D: Its walls, which were not well constructed, delimited a row of narrow rooms which do not find any parallels in the domestic architecture of the Piraeus. As a result, the excavator supports that this building served commercial purposes. Numerous bronze coins, Hellenistic amphora sherds and fragments from terracotta figurines excavated from this area support this interpretation further.
A bell-shaped cistern was excavated west of the aforementioned buildings. The cistern may belong to a different building complex to the above four.
The excavator notes that the width of the roads was not uniform as they passed through the building complexes. An extensive system of drains and pipes was revealed under one of the roads.
Finally, Kornelia Axioti (ΚΣΤ’ ΕΠΚΑ) reports on a third site, further south on Zaimi Street (70-72 Zaimi and Kleisouras Streets, property of N.Epitropoulou and E. Chanioti Co.). A large quarry was excavated. Three block courses were extracted and many blocks remain in situ. The extraction channels and numerous tool marks are visible. A wall was excavated from the north side of the quarry. It delimited a paved area measuring 1.50x0.85 metres. A second, carefully constructed wall was excavated from the SE corner of the plot.
South of this house on Zaimi and Flessa (property of OSK) further, extensive remains of houses were found. Sophia Michalopoulou (ΚΣΤ’ ΕΠΚΑ) reports on the excavation of four blocks of houses and two roads separating these.
Block A: Its walls are dated in the 4th c. B.C. and additional finds indicate that it was used until the Hellenistic period. The block includes a house with three rooms that constitutes the continuation of the domestic complex reported in AD (1975) Chr. 33.
Block B: It is dated in the Classical period. Part of a room was excavated that contained five bronze and six silver coins. The date range of the silver coins is 390-262 B.C. A drain ran along the floor of the room and led to a cistern.
Block C: A pebble-floor was revealed.
Block D: Its walls, which were not well constructed, delimited a row of narrow rooms which do not find any parallels in the domestic architecture of the Piraeus. As a result, the excavator supports that this building served commercial purposes. Numerous bronze coins, Hellenistic amphora sherds and fragments from terracotta figurines excavated from this area support this interpretation further.
A bell-shaped cistern was excavated west of the aforementioned buildings. The cistern may belong to a different building complex to the above four.
The excavator notes that the width of the roads was not uniform as they passed through the building complexes. An extensive system of drains and pipes was revealed under one of the roads.
Finally, Kornelia Axioti (ΚΣΤ’ ΕΠΚΑ) reports on a third site, further south on Zaimi Street (70-72 Zaimi and Kleisouras Streets, property of N.Epitropoulou and E. Chanioti Co.). A large quarry was excavated. Three block courses were extracted and many blocks remain in situ. The extraction channels and numerous tool marks are visible. A wall was excavated from the north side of the quarry. It delimited a paved area measuring 1.50x0.85 metres. A second, carefully constructed wall was excavated from the SE corner of the plot.
Auteur de la notice
Chryssanthi PAPADOPOULOU
Références bibliographiques
ADelt 60 (2005) Chr., 216, 218-221, 224-225.
Légende graphique :
localisation de la fouille/de l'opération
localisation du toponyme
polygone du toponyme Chronique
Fonctionnalités de la carte :
sélectionner un autre fond de plan
se rapprocher ou s'éloigner de la zone
afficher la carte en plein écran
Date de création
2015-07-15 00:00:00
Dernière modification
2023-10-19 12:43:49
Figure(s)




