LOUTRA AIDIPSOU - 2001
Informations Générales
Numéro de la notice
3427
Année de l'opération
2001
Chronologie
Mots-clés
Bains - Canalisation - Sépulture - Lampe - Monnaie - Mosaïque - Peinture - Parure/toilette - Revêtements (mur et sol) - Installation hydraulique
Nature de l'opération
Institution(s)
Localisation
Toponyme
Loutra Aidipsou
Loutra Aidipsou
Notices et opérations liées
2001
Description
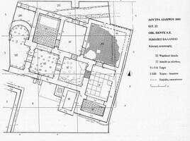
Dans la commune de Loutra Aidipsou, à l’angle des rues Omirou et Irakleous, la XIe éphorie des antiquités préhistoriques et classiques a effectué en 2001 une fouille de sauvetage sur le terrain Pente A.E. (O.T. 22) : elle y a mis au jour la majeure partie d’un ensemble de bains de l’époque romaine (fig. 1).
L’édifice dégagé (long. 16 m ; larg. 13 m) se compose de dix pièces organisées en deux rangées qui communiquaient entre elles. L’entrée se faisait vraisemblablement par la pièce située au Nord-Est (pièce XI ; fig. 2). Le sol en est pavé d’une mosaïque. L’espace s’identifie au vestibularium et donnait accès à la pièce V, au Sud, et à la pièce X, à l’Ouest. La pièce V (fig. 4), dallée de plaques de marbre, s’identifie au frigidarium ; elle s’ouvrait au Sud sur un petit espace rectangulaire doté d’un bassin. Par un passage pavé de mosaïque, la pièce V donnait aussi accès à une série de pièces vers l’Ouest (pièces VI, VII et VIII ; fig. 3-5), dont les sols sont posés sur un système d’hypocaustes constitués de pilettes de briques circulaires. Un praefurnium est préservé au Sud de la pièce VII et un deuxième est restitué au Sud de la pièce VIII, qui se prolonge au Nord par une abside semi-circulaire. Ces trois pièces appartenaient vraisemblablement au caldarium : l’air chaud s’y diffusait également par les murs, dont les tegulae mamatae ont été retrouvées. Au Sud de la pièce VI, identifiée au tepidarium, s’ouvre une petite pièce rectangulaire (pièce III), dont le sol se trouve à un niveau supérieur par rapport à celui de la pièce VI, et qui appartient à une phase de construction plus récente.
Au Nord de ces pièces, l’espace XIII, en arrière du caldarium (pièce VIII), appartient à une phase ultérieure de construction, comme l’indiquent les coups de sabre sur les fondations des murs. L’abside qui terminait primitivement la pièce VIII au Nord semble avoir été arasée lors de cette phase. Cet espace s’ouvrait au Nord. La pièce IX, à l’Est, semble avoir connu deux phases d’aménagement elle-aussi. Dans son dernier état, elle s’ouvrait manifestement au Sud vers le caldarium (pièce VII). Son sol est pavé de dalles de terre cuite et, dans sa partie Nord, de mortier hydraulique. Une canalisation a été mise au jour au Nord de la pièce. À l’Est, la pièce X (fig. 2) devait être une salle d’eau comme l’atteste la présence de deux canalisations dans son mur Nord – probablement dans sa première phase, alors qu’elle ouvrait sur le vestibularium et sur le tepidarium. Dans une seconde phase, les portes en ont été murées, et une nouvelle ouverture fut percée dans le mur extérieur, au Nord.
Parmi le mobilier recueilli sur la fouille, on signale de nombreuses monnaies, des fragments de marbre provenant des revêtements muraux et des sols, des lambeaux d’enduits peints, de nombreuses épingles en os, un ustensile en bronze. L’importante quantité de céramique trouvée dans la pièce XI suggère que dans sa dernière phase d’occupation, peut-être à la fin de l’Antiquité, cet ensemble avait perdu sa fonction balnéaire initiale.
Au Sud des bains, la fouille a mis au jour deux autres espaces. On a dégagé les vestiges de deux murs perpendiculaires, de construction et d’orientation identique à ceux des bains. La partie Ouest de cette structure se poursuit au-delà de la zone de fouille. Par ailleurs, un mur de moellons (T18) et une canalisation de terre cuite ont été dégagés au contact du mur extérieur Nord des bains (T11).
Les lampes de terre cuite permettent de dater ce complexe de bains à l’époque romaine tardive. Les phases de construction et d’aménagement du bâti n’ont pas pu être datées avec davantage de précision jusqu’à présent, mais il semble que le mur Sud des bains (T2) soit fondé sur une couche de l’époque hellénistique, tandis que le mur T18 au Nord des bains date de la fin de l’époque hellénistique ou du début de l’époque romaine. Après l’abandon du bâtiment, deux tombes à tuile ont été construites, l’une dans le caldarium (VIII), l’autre dans l’angle Nord-Est du terrain.
Auteur de la notice
Catherine Bouras
Références bibliographiques
S. Katakis – V. Nikolopoulos, AD 56-59 (2001-2004), B2, p. 230-235.
Légende graphique :
localisation de la fouille/de l'opération
localisation du toponyme
polygone du toponyme Chronique
Fonctionnalités de la carte :
sélectionner un autre fond de plan
se rapprocher ou s'éloigner de la zone
afficher la carte en plein écran
Date de création
2013-07-12 00:00:00
Dernière modification
2023-10-13 12:18:26
Figure(s)
Fig. 4/ Loutrai Aidipsou, terrain Pente, partie centrale et occidentale des bains (pièces V, VII-X-XIII).




