ATHENS - 2005
Informations Générales
Numéro de la notice
2191
Année de l'opération
2005
Chronologie
Âge du Fer - Protogéométrique - Géométrique
Antiquité - Archaïque - Classique - Hellénistique - Romaine
Mots-clés
Four - Inscription - Parure/toilette - Métal - Habitat - Nécropole - Production/extraction - Sanctuaire - Voierie
Nature de l'opération
Institution(s)
Localisation
Notices et opérations liées
2005
Description
Athens metro. Excavation for the stations and ventilation shafts of the west extension of Line 3. I. Tsirigoti-Drakotou (Γ’ ΕΠΚΑ) reports on extensive excavation conducted between 1997 and 2005 (Fig. 1).
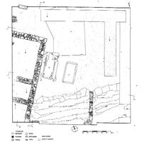
For the Theseio shaft, an area of 70m² was investigated between the south side of Ermou street and the archaeological site of the Kerameikos. At a depth of 6.8m lay houses and workshop remains (Fig. 2). In the west and central parts of the excavated area, two rectangular areas, oriented northeast-southwest and defined by walls of conglomerate blocks, show two building phases. At the entrance to the north area, a ritual pyre of the fourth century BC probably belongs to the period of the foundation of the building. In second, Roman, phase, masonry of small unworked stones and cement was added: part of a pebble floor belonging to an exterior space was also found. The function of the structures is unknown.
In the eastern part of the plot lay the remains of poorly constructed walls. A potter’s workshop is attested by a concentration of wasters and a kiln, of which the lower part of the firing chamber was preserved (a pit in the centre may have held a pier to support the grill). Geometric-Late Classical pottery was found in the fill. Related to the building is a floor of tile and marble slabs with remains of red clay on the surface. Outside were masses of iron and Classical-Late Roman pottery.
Excavation of the Ermou-Peiraios shaft at the junction of these roads revealed a floor, much debris, and Classical to modern sherds.
No trace of human activity was found in the entire area (ca. 3500m²) of Votanikos station (which replaced the proposed Kerameikos station after the decision not to pass the tunnel under the archaeological site of the Kerameikos).
In the area of the Spyrou Patsi shaft (near the road of the same name and just south of the Sacred Way), was part of one of the many roadside cemeteries along the Sacred Way (Figs 3,4). The 23 tombs excavated comprised five sarcophagi, seven tile graves, three larnakes, a pyre, and seven pit graves, the majority looted or without goods. The sarcophagi were mainly of limestone and all were robbed, the only finds being a few bones, pieces of strigil, and a bronze mirror. An important find was an unlooted larnax containing two pyxides, two alabastroid lekythoi, and a black-glazed skyphos, all of the end of the fifth century BC. Other finds from the cemetery date to the end of the fifth and the fourth centuries BC.
Outside the cemetery to the west, an elongated three-roomed building, oriented north-south, continued beyond the excavation plot. It is probably to be related to a parallel wall found in the middle of the cemetery excavation. The building predates, and is disturbed by, the cemetery, but its function is unclear.
In the 230m² area of the Geoponikis shaft to the west, a 9.3m long stretch of the ancient Sacred Way ran east-west, parallel to and a short distance south of the modern road. Its north retaining wall (in various phases) was preserved (Fig. 5) together with at least eight corresponding road layers of the Classical to Late Roman periods. The most recent retaining wall was built of large partly dressed stones and spolia from Classical tomb monuments. Submycenaean-Archaic pottery was found in a section below the foundation of the lowest retaining wall. North of the road were four disturbed tombs without goods. The discovery of the road led to the resiting of the shaft further to the north.
Fills in the area from the Prophitis Daniel shaft until the bridge over the modern Kephisos are very substantial, as observed in previous excavations, this being the wider area of the Kephisos river found in various places east of its present bed. Excavation here revealed part of the ancient Sacred Way and an offering deposit (Figs 6,7). At a depth of 2.9m was a wall (12.3m long and 0.5-0.6m wide) oriented east-west, with three building phases. The first phase employed an irregular trapezoidal system, interrupted by a threshold; small stones and tile were used in a second phase; and in the final phase the entrance was filled in and rectangular stones laid along the entire length of the wall. The building was destroyed by the river.
A 10m long stretch of the Sacred Way was found, running west-east. A surface 5m wide was exposed without locating the southern retaining wall. To this phase belongs a base in the southwest corner of the trench built of well worked blocks in secondary use, including one inscription. Six road layers contained pottery of the Archaic to Late Roman periods. The road was also destroyed by the river.
No building remains were found to the north of the retaining wall. The river bed was encountered here at a depth of 5.5m, and at 5.76-6.02m two successive road layers contained Geometric sherds. It is believed that that this is the Sacred Way of the Geometric period, which was destroyed by flooding and moved further south.
At the west side of the trench the road was disturbed by a deposit ca. 3m in diameter, containing roof tiles, two heads of Archaic figurines, and many Eleusinian kernoi. The kernoi are specifically related to the worship of Demeter, and this may therefore be a sanctuary deposit (noting that Pausanias [1.37.2] mentions a sanctuary of Demeter and Kore, Athena and Poseidon in this area). Finds date from the Archaic to Late Roman periods. The wall, which later became the north retaining of the road, probably originated as part of the sanctuary peribolos, remains of which were not found in the limited excavation area under investigation.
At Elaionas Station (1200m²) remains of workshops and part of a cemetery were revealed (Figs 8,9). Two walls (14m and 19m long) belong to a peribolos. Sporadic finds of furnace materials (clay, bronze, and lead) and the presence of heaths and fire pits suggest the use of the area as a workshop in the Hellenistic period.
In the area of the station entrance, part of a Hellenistic cemetery was found with 14 tombs, mostly cist graves, two of which were built of marble funerary stelai in secondary use, while the remainder were simple pits without goods. Southwest of the area and particularly along the south side, a 6m stretch of rectangular limestone blocks probably belongs to a funerary peribolos or a grave platform. North of this, a funerary peribolos enclosed 10 tile graves mostly without goods (grave 9 contained a small Hellenistic unguentarium). Outside the peribolos were two Hellenistic pit graves and one tile grave.
At the eastern ventilation shaft of the station, at a depth of 6.5m, were three stanchions of the bridge over the ancient Kephisos, composed of three series of rectangular marly limestone blocks preserved to a height of four courses (Fig. 10).
To the south, in the area of the emergency exit of the station, were the remains of two walls with associated fifth-century BC pottery. At a depth of 8m was a series of probable postholes: Geometric sherds were collected.
Excavation of the west ventilation shaft a few metres further west (Figs 11,12), revealed a possible peribolos (walls of river stones and limestone slabs in secondary use). Parts of large pithoi were found, a circular tile construction in area 1, and some pit pyres, perhaps from a workshop.
North of this, the Sacred Way ran east-west for 15m (with a maximum width of 4.5m). Its southern retaining wall was damaged, while the northern wall lies beyond the excavation boundaries.
At the Knosou shaft, a short distance from the West shaft, deposits of the Kephisos river were found, plus part of the prehistoric Sacred Way which was abandoned in the Geometric period and moved further south.
Auteur de la notice
Robert PITT
Références bibliographiques
AD 56-59 (2001-2004) Chr., 257-267.
Légende graphique :
localisation de la fouille/de l'opération
localisation du toponyme
polygone du toponyme Chronique
Fonctionnalités de la carte :
sélectionner un autre fond de plan
se rapprocher ou s'éloigner de la zone
afficher la carte en plein écran
Date de création
2011-06-28 00:00:00
Dernière modification
2023-10-09 11:32:23
Figure(s)




